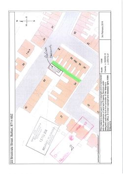
Lot 30 - Site at 22/24 Brookvale Street, Belfast, BT14 6BX

  • Unconditional Online Auction Sale
  • Guide Price* : £60,000
  • Bedrooms: 0
  • Investment Opportunity. Attention All Builders . Site for 2 Semi Detached Houses
  • Site with Full Planning for a 2.5 Storey Semi-Detached Dwelling at 22 and Potential at 24 Brookvale Street
  • App. Number LA04/2016/0350/F for 22
  • Foundations are in place for 22. Services are available close buy.
  • Located off the Antrim Road and with The Waterworks nearby.
  • The amenities of the Antrim Road and Public Transport links are all within walking distance.

Description

Investment Opportunity for Builders! This prime site offers full planning permission for a 2.5-storey semi-detached dwelling at 22 Brookvale Street, with potential for development at 24 Brookvale Street. Planning application number LA04/2016/0350/F has been approved for 22, and foundations are already in place, with essential services conveniently located nearby. Situated just off the Antrim Road and close to The Waterworks, the site benefits from excellent amenities and public transport links, all within walking distance. Don't miss this fantastic development opportunity in a sought-after location!


* No information, statement, description, quantity or measurement contained in any sales particulars, or given orally, or contained in any webpage, brochure, catalogue, email, letter, report, docket or hand out, issued by or on behalf of BRG Gibson Auctions Ltd, or the vendor in respect of the property shall constitute a representation, or a condition or a warranty on behalf of BRG Gibson Auctions Ltd, or the vendor. Any information, statement, description, quantity or measurement so given or contained in any such sales particulars, webpage, brochure, catalogue, email, letter, report or hand out issued by or on behalf of BRG Gibson Auctions Ltd, or the vendor are for illustration purposes only and are not to be taken as matters of fact. Any mistake, omission, inaccuracy or mis-description given orally, or contained in any sales particulars, webpage, brochure, catalogue, email, letter, report or hand out issued by or on behalf of BRG Gibson Auctions Ltd, or the vendor shall not give rise to any right of action, claim, entitlement or compensation against BRG Gibson Auctions Ltd, or the vendor. All bidders must satisfy themselves by carrying out their own independent due diligence, inspections or otherwise as to the correctness of any and all of the information, statements, descriptions, quantity or measurements contained in any such sales particulars, webpage, brochure, catalogue, email, letter, report or hand out issued by or on behalf of BRG Gibson Auctions Ltd, or the vendor.

Loading the bidding panel...

Make an Enquiry

Submit an enquiry and someone will be in contact shortly.

 
*  
*  
*
*
*

Share